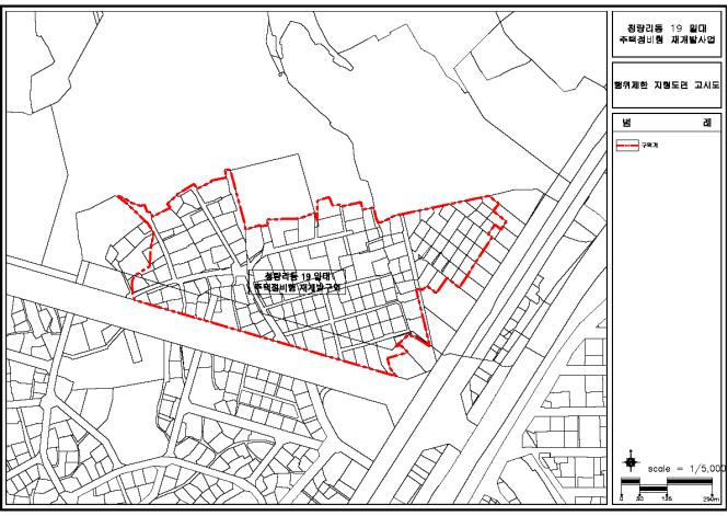
서울 동대문구가 청량리동 19번지 일대 2만8,647.8㎡에 대한 행위제한에 앞서 주민 의견을 청취하기 위해 열람공고를 진행한다.
구는 청량리동 19번지 일대 신속통합기획 주택정비형 재개발사업구역 내 비경제적인 건축행위와 투기수요 유입을 차단하기 공고일로부터 14일간 열람공고를 진행한다고 지난 16일 공고했다.
공고문에 따르면 제한기간은 제한공고일로부터 3년이다. 다만 정비계획의 결정 및 정비구역의 지정·고시가 있는 경우 고시일까지다.
제한대상은 △건축법에 따른 건축허가 및 건축신고 △건축법에 따른 용도변경 중 주택으로의 용도변경 △건축물 대장의 기재 및 관리 등에 관한 규칙에 따른 일반건축물의 집합건축물로의 전환 △기타 세대수를 증가시키는 일체 행위 △토지의 분할 등이다.
제한제외 대상은 △행위제한 고시 이전 건축허가 접수되었거나 건축허가·신고 등을 받아 진행중인 사업 △세대수가 증가하지 않는 대수선 △재해복구 또는 재난수습에 필요한 응급조치를 위한 경우 등이다.
홍영주 기자 hong@arunews.com
이 기사를 공유합니다
관련기사

